某民用楼因维修改善需求,需对楼板进行钻孔作业。传统检测方法存在技术局限,仅能检测到单层钢筋,当遇到钢筋网产生强反射时,检测信号难以穿透至钢筋下方,导
致无法掌握钢筋下方管线排布情况。
这种信息缺失使得钻孔作业面临极高风险,可能误触管线或破坏深层结构,不仅影响维修进度,还可能引发安全事故与额外维修成本,因此急需一种具备强穿透力与高精度
解析能力的检测设备,为钻孔作业提供安全位置指导。
设备选择
基于项目对检测深度、精度以及解析能力的要求,施工队选择了巡鹰智检多通道结构雷达 Proceq GP8100进行测试。其工作原理依托于先进的步进频率连续波雷达技术,
拥有400 - 4000 MHz的宽频工作范围,搭配6通道的设计,探测深度最大可达80 cm。

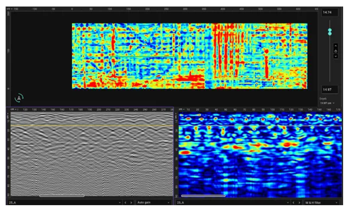
关键检测结果
钢筋检测:通过 GP8100 雷达深度切片与 B 扫图像分析,清晰识别出楼板内部双层钢筋的分布情况。其中,首层钢筋位于 8 cm深度左右,其信号在深度切片中连续且规整,
对应的 B 扫图像在同一深度处呈现特征鲜明的双曲线雷达信号;

▲首层钢筋信号图
二层钢筋位置位于13 cm左右,底板位于15 cm左右。尽管受一层钢筋信号遮挡影响,二层钢筋信号未达到首层钢筋的清晰程度,但仍能有效识别其位置,打破了传统设备仅
能检测单层钢筋的局限。

▲二层钢筋信号图

▲ 楼底板信号图
管线检测:雷达深度切片在约 11 cm深度处显示数道连续条状信号,经对应 B 扫图判断,该深度存在清晰的双曲线信号(管线典型特征),且确定管线位于一、二层钢筋
之间。

为进一步验证准确性,将检测结果与施工现场预埋管线真实照片比对,二者分布形态高度相似;同时依据《12SG121-1-施工图结构设计总说明》第 9.6.8 条 “板内预埋
管线应布置于板底与板顶钢筋之间” 的规定,最终确认该信号为预埋管线信号。
梁体检测:在深度切片特定标记位置,通过分析对应雷达 B 扫图发现,仅能看到一层钢筋的反射信号,下方无任何特征信号。结合现场楼板构造判断,此处存在密集钢
筋,雷达波无法穿透导致信号屏蔽,进而确定该位置有梁体存在,避免钻孔作业误触梁体结构。

▲ 梁体信号图
三维重构可视化
区域扫描完成后,借助软件的 AR 投影功能,实现了对楼板内部双层钢筋和管线走势的实时、直观可视化查看,便于现场工作人员快速掌握结构分布;后期将检测数据导入后
处理软件,利用软件绘图功能绘制出它们的分布示意图,为钻孔安全位置规划提供了直观、详细的技术依据。

AR投影 经后处理软件绘制的内部结构示意图
本次应用,巡鹰智检Proceq GP8100结构雷达以强穿透力与高精度解析受到了施工单位的一致好评。弥补了传统检测短板,精准定位双层钢筋,清晰呈现钢筋下管线与梁
体分布。据此,工作人员能精准规划楼板钻孔安全位置,规避误触风险,保障居民楼维修顺利推进,减少结构损坏与成本浪费。
